Bonaire, Dezember 2021 – Januar 2022
Also theoretisch kann man sie ja sogar essen und sie sollen gar nicht mal so schlecht schmecken. Einfach auf den Grill gelegt und genossen. Damit würden wir hier in Bonaire allerdings eine Straftat begehen. Papageienfische sind streng geschützt. Nun gut, dann begnügen wir uns damit, sie einfach nur per Augenschein in bewundernde Aufmerksamkeit zu nehmen.
Papageienfische unterteilen sich in 10 Gattungen mit etwa 100 Arten und leben ausschließlich in tropischen Meeren, bevorzugt an Korallenriffen. Ein wesentliches Merkmal ist, dass ihre Kieferzähne zu einem Schnabel verwachsen sind, mit dem sie die niedrige Pflanzendecke an freien Kalkoberflächen abweiden. Ebenso augenfällig ist die bunte Farbenpracht. Zumindest bei den ausgewachsenen Fischen. Denn es ist immer wieder erstaunlich, wie sehr sich die jungen von den erwachsenen Exemplaren unterscheiden. An dieser Stelle soll nun auch gar nicht mehr lange unnötig rumgelabert, äh … -geschrieben werden. Macht euch doch einfach selbst einen Eindruck!
Stoplight Parrotfish (Sparisoma viride)




Queen Parrotfish (Scarus vetula)



Princess Parrotfish (Scarus taeniopterus)


Striped Parrotfish (Scarus iseri)

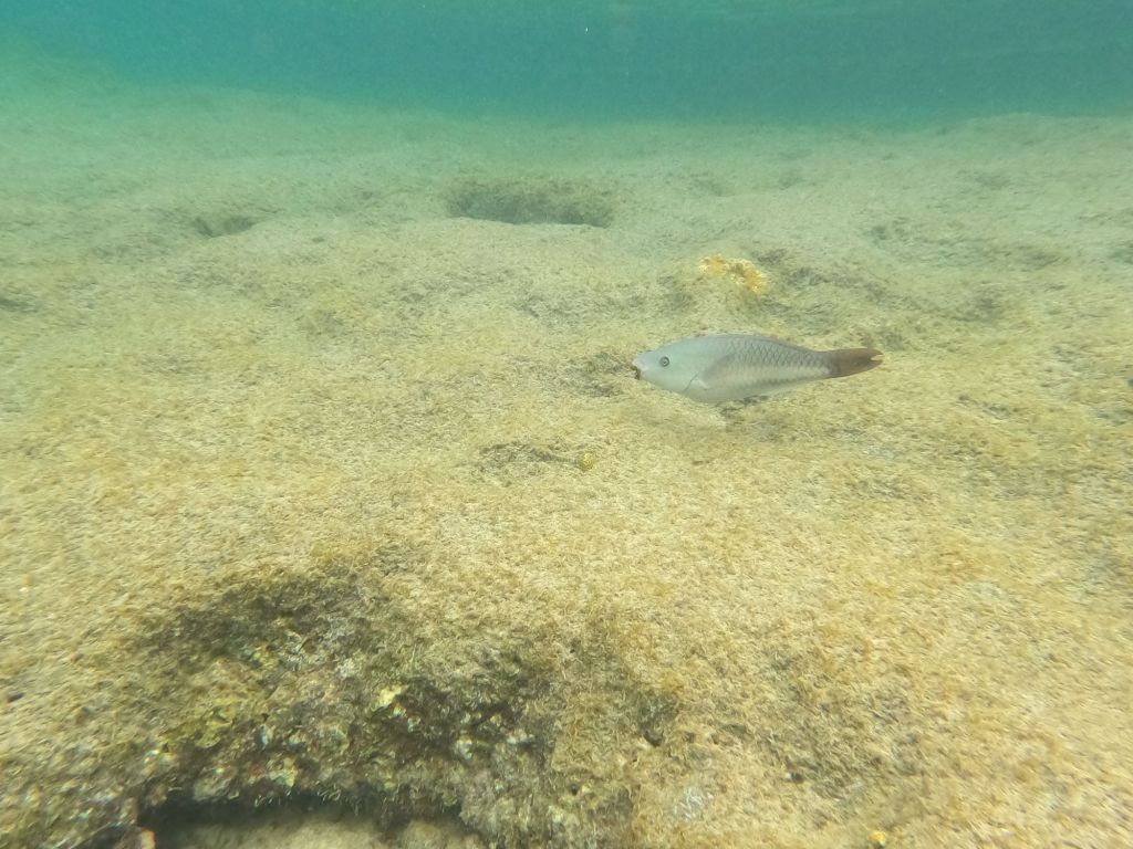
Redtail Parrotfish (Sparisoma chrysopterum)

Yellowtail Parrotfish (Sparisoma rubripinne)


Redband Parrotfish (Sparisoma aurofrenatum)


Rainbow Parrotfish (Scarus guacamaia)



Blue Parrotfish (Scarus coeruleus)

Alle Benennungen hat Samuel nach bestem Wissen und Gewissen aus seinen zwei Bestimmungsbüchern von P. Human und N. Deloach, insb. „Reef Fish Identification: Caribbean – Bahamas – South Florida (2nd Edition)“ rausgesucht. Und natürlich hat Samuel auch alle Fotos gemacht.
So gesehen sind die Papageienfische eigentlich auch viel zu schade, um auf dem Grill zu landen. Viel schöner ist es, sie in ihrer natürlichen Umgebung zu bewundern. Da wo sie hingehören, die Papageienfische von Bonarie.
